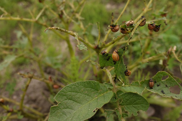
Чтобы в конце лета собрать хороший урожай картофеля, следует придерживаться определенных действий, которые помогут получить желаемый результат. Например, надрезать его перед посадкой и обработать народными средствами. Однако растения могут испортить вредители, а именно – колорадские жуки. theLime решил поделиться простым лайфхаком, как применять горчицу для борьбы с ними.
Опытные дачники используют горчичный порошок вместо промышленных инсектицидов из-за того, что горчица не скапливается в почве и тканях растений.
Чтобы приготовить натуральное средство от колорадского жука, нужно взять ведро горячей воды 10 л, развести в нем 200 г горчичного порошка (1 пачка) и оставить на 2-3 часа под крышкой.
Затем процеживаем через несколько слоев марли, добавляем 5 ст. л. ложек 9% уксуса и 50 г натертого на большой терке хозяйственного мыла (около 0,25 куска), чтобы смесь как можно дольше держалась на листьях.
Читайте также: В борьбе с колорадским жуком можно использовать неожиданное "средство".
Раствором из горчичного порошка опрыскиваем не только картофель, но и томаты, и баклажаны. Делать это нужно 1 раз в неделю или чаще, если прошел дождь или выпала обильная роса. Если раз в 1-1,5 недели поливать землю этим средством, можно избавиться и от других вредителей.
Отметим, что обработка кустов раствором горчичного порошка помогает только в том случае, если вредителей немного, а также в целях профилактики.
- Ранее мы рассказали про действенное народное средство от колорадского жука, которое защитит растения без химии.
- Читайте также на theLime, как спасти капусту от белокрылки хозяйственным мылом и чесночным настоем.
Интересные новости для вас:
- Клубника гниет на грядке: чем ее обработать, чтобы спасти ягоды.
- Паутинный клещ на огурцах: что делать, если вредитель появился на растениях.
- Молочная сыворотка – хорошее удобрение и защита для растений: как ее применять.
Самые интересные истории и новости дня теперь в Telegram! Подписывайтесь на канал theLime и узнавайте о них скорее.