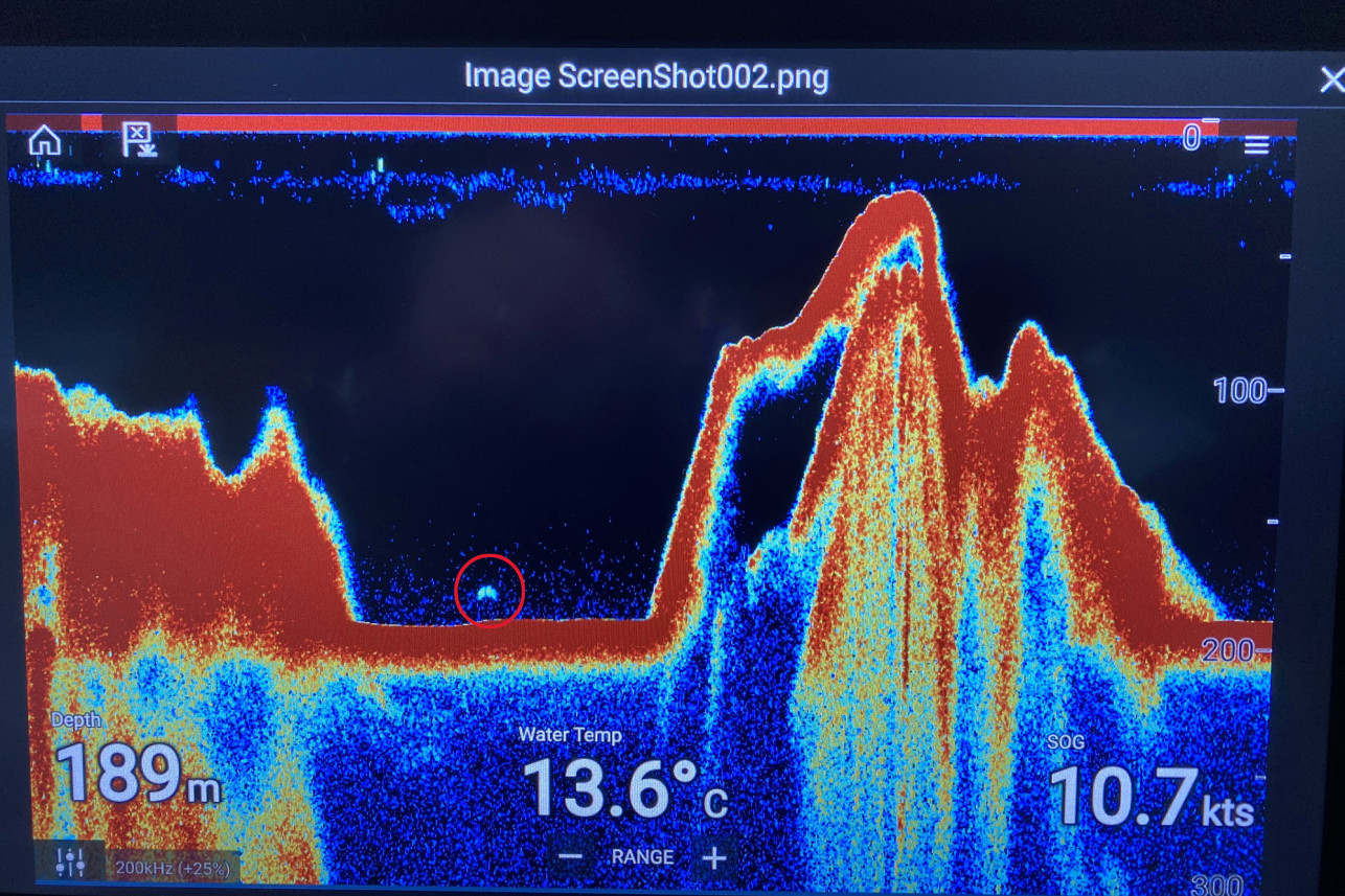
Хоча легенда про лохнеське чудовисько була багато разів спростована вченими, ентузіасти не залишають спроб знайти його сліди. Так, 77-річний шкіпер Рід Мічі поділився загадковим фото, яке зробив за допомогою гідролокатора, пише NY Post.

picture Фото: Ronald Mackenzie / SWNS.COM

Засіб звукового виявлення підводних об'єктів зафіксував на глибині понад 200 метрів 10-метрову фігуру. Чоловік упевнений, що "зловив" саме Нессі, але скептики вважають, що об'єкт може виявитися просто великою зграєю риби.

"Раніше я бачив дивовижні речі своїми очима або за допомогою гідролокатора, але кожен раз було логічне пояснення. Але цього разу все інакше. Це дійсно незрозуміло. Я багато разів проходив повз це місце, але більше нічого не бачив, - сказав Мічі. - Обладнання весь час поліпшується, і це, швидше за все, допоможе розгадати таємницю Нессі".

Легенда про лохнеське чудовисько приносить регіону мільйони доларів доходу від туризму. Кажуть, що вперше звіра зустрів ірландський місіонер святий Колумба в 565 році. Серед найвідоміших його зображень - фотографія 1934 року, зроблена полковником Робертом Кеннетом Вілсоном. Пізніше дослідники встановили, що фотографія була постановочною. При цьому криптозоологи продовжують шукати чудовисько, і в 2020 році Офіційний реєстр спостережень за Нессі зафіксував 10 "контактів".

Продовження після реклами
РЕКЛАМА
  • Раніше theLime створив добірку найбільш поширених страхів, які виникають у людей після переглядів фільмів жахів. Згадайте про це, коли зберетеся дивитися черговий хоррор.

Найцікавіші історії та новини дня тепер в Telegram! Підписуйтесь на канал theLime і дізнавайтеся про них швидше.

Продовження після реклами
РЕКЛАМА
Завантаження...