Досвідчені господарі знають не тільки, коли потрібно садити ті чи інші овочеві культури за місячним календарем, як їх розмістити на грядках, щоб вони не пригнічували ріст і розвиток один одного, а й як боротися зі злісними шкідниками. theLime вирішив докладніше розповісти про дієвий народний засіб від колорадського жука, який захистить рослини без хімії.
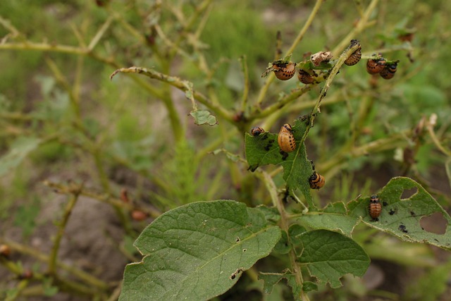
Як відомо, колорадський жук сильно пошкоджує картоплю та інші пасльонові культури: томати, баклажани тощо. Листя поїдають і дорослі жуки, але найбільше шкодять личинки, що повністю об'їдають листя і пагони під час цвітіння, залишаючи тільки прожилки.
Коли кущ об'їдають личинки колорадського жука, то рослина практично зупиняється у розвитку. Якщо листя було знищено повністю, то не відбуваються процеси фотосинтезу – адже немає листових пластинок. Відповідно, підживлення до кореневої системи надходити перестає.
Читайте також: У боротьбі з колорадським жуком можна використати несподіваний "засіб".
Як приготувати натуральний засіб для боротьби з колорадським жуком?
Беремо 1 кг золи, заливаємо її 3 л води – так, щоб вона повністю покрила золу. Додаємо 90 г меленого червоного перцю. Залишаємо приблизно на добу, щоб суміш настоялася.
Потім розбавляємо водою, щоб довести об'єм до 10 л.
Приблизно за годину до обприскування додаємо натерте та розведене в гарячій воді господарське мило (потрібно взяти 1 брусок).
Наприкінці додаємо 40 мл нашатирного спирту, перемішуємо і приступаємо до обприскування. Робити це необхідно або вранці, коли немає роси, або ввечері, коли ще не випала роса.
Цей засіб також допоможе від попелиці, яка також шкодить переліченим вище рослинам.
- Раніше ми розповіли про три натуральні засоби, які допоможуть позбутися личинок хруща на городі.
- Читайте також на theLime, як захистити цибулю і часник від цибулевої мухи.
Цікаві новини для вас:
- Як підживити рослини черствим хлібом: натуральне добриво для поливу.
- Молоко з йодом захистить огірки від хвороб та шкідників: як зробити розчин для обприскування.
- Як врятувати капусту від білокрилки господарським милом і часниковим настоєм.
Найцікавіші історії та новини дня тепер у Telegram! Підписуйтесь на канал theLime і дізнавайтеся про них швидше.